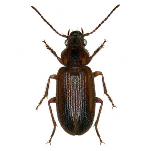
Behaarde kustloopkever (Dicheirotrichus gustavii)

DE: Behaarter Salzwiesenläufer EN: Saltmarsh beetle DK: Slikløber
Korte beschrijving overal, veel voorkomend
Vondstfrequentie nog geen vondsten van deze soort , Verspreidingskaart
Verspreiding
Nordseeküste inheems
Status
heimisch
Foto van deze soort:
Behaarde kustloopkever

Fotoinformatie: Behaarde kustloopkever

Auteurs Udo Schmidt
Licentiehouder Magnus Manske
Licentie aanwijzing Copyrighted Material; the copyright remains with the author (not this web publication)
Licentie cc-by-sa 2.0
Bron Link